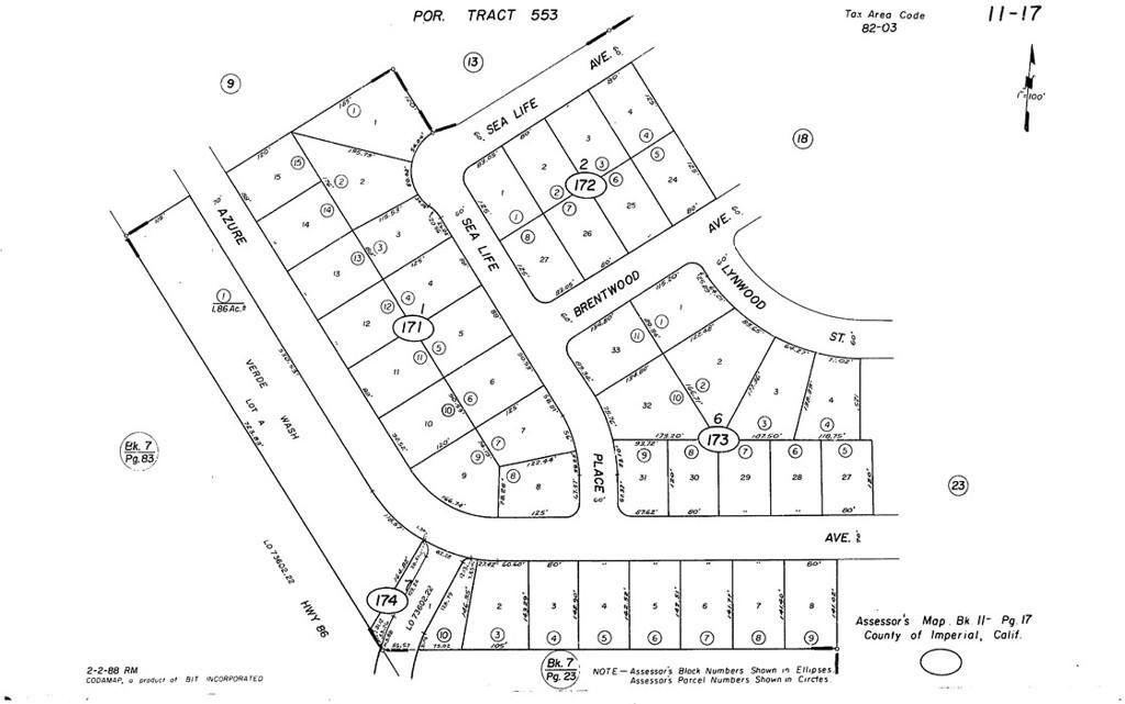
The address associated with this parcel is 2373 Sea Life Pl, Salton City CA 92274. What is reflected is the Parcel# 011-171-003-000 which is +/-0.2341 Acres. Zoning is R-1. Located in the area of Salton City which is Unincorporated Imperial County. Access via dirt Sea Life Pl.
Property Details
Price:
$8,000
MLS #:
IG25133975
Status:
Active
Beds:
0
Baths:
0
Type:
Land
Neighborhood:
699notdefined
Listed Date:
Jun 15, 2025
Lot Size:
10,198 sqft / 0.23 acres (approx)
See this Listing
Schools
Interior
Exterior
Community Features
RUR
Financial
Map
Community
- Address2373 Sea Life PL Lot 3 Salton City CA
- CitySalton City
- CountyImperial
- Zip Code92275
Market Summary
Current real estate data for Land in Salton City as of Dec 09, 2025
16
Land Listed
139
Avg DOM
$101,831
Avg List Price
Property Summary
- 2373 Sea Life PL Lot 3 Salton City CA is a Land for sale in Salton City, CA, 92275. It is listed for $8,000 and features 0 acres.
Similar Listings Nearby
2373 Sea Life PL Lot 3
Salton City, CA


